Après l’observation des vols de méligèthes lors des récentes journées printanières, de nombreux méligèthes (parfois plusieurs centaines) ont été piégés en peu de temps dans les bassins.
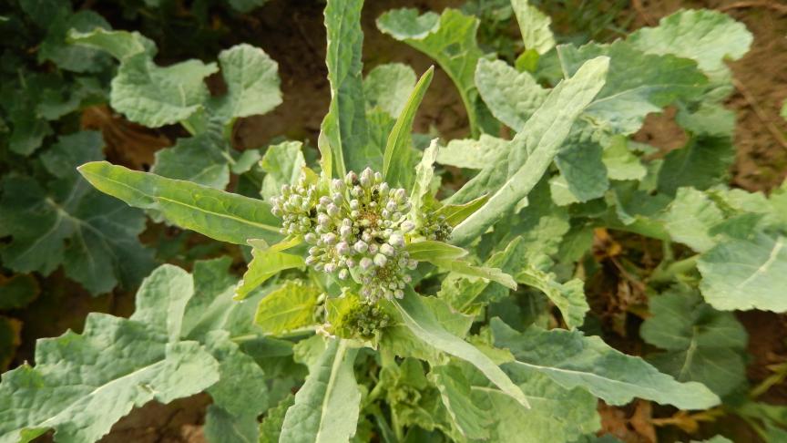
On peut actuellement observer la présence de ces insectes dans les boutons floraux. Au 26 mars, leur nombre variait fortement d’un champ à l’autre, de 1 à 8 méligèthes en moyenne par plante, dans le cadre du réseau d’observations.
Certaines parcelles ont dépassé le seuil de traitement ; le colza est toujours au stade sensible aux morsures de méligèthes à la recherche de pollen dans les boutons floraux.
Avant tout traitement insecticide, il est recommandé de vérifier le nombre d’insectes présents dans chacune des parcelles de colza, car la situation peut varier.

Lorsqu’un champ a été traité, il convient de vérifier l’efficacité du traitement réalisé.
Il faut également rappeler que les néonicotinoïdes (thiacloprid, acetamiprid) sont interdits d’utilisation en Région wallonne depuis le 1er juin 2018, même si ces produits restent agréés en Belgique et sont toujours visibles sur Phytoweb.
Les charançons de la tige du colza sont absents ; seuls, les charançons de la tige du chou sont encore piégés dans les bassins.
La surveillance des méligèthes continue jusqu’à la floraison des plantes.









